Autoridades reportan severas inundaciones, daños estructurales y falta de conexión en amplias zonas del país
KINGSTON, Jamaica – A su paso por Jamaica, el huracán Melissa golpeó con fuerza devastadora este martes, alcanzando vientos de hasta 300 km/h y dejando un saldo preliminar de siete muertos en el Caribe. Las autoridades describen el fenómeno como “la tormenta del siglo”, mientras miles de residentes ignoran las órdenes de evacuación. La tormenta, de categoría 5, amenaza con más de un metro de lluvia y un aumento del nivel del mar de hasta cuatro metros en la costa sur.
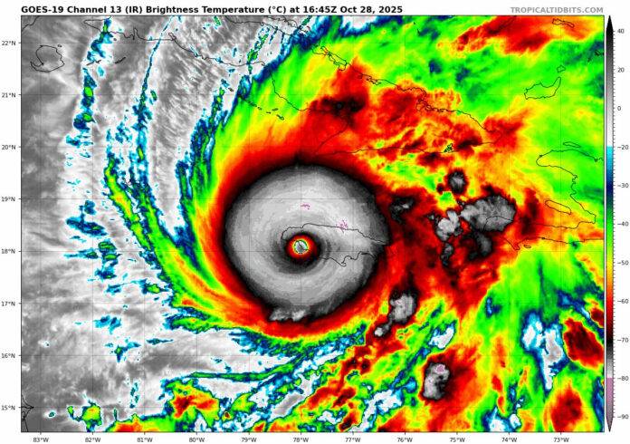
El huracán más poderoso del Caribe
El huracán Melissa tocó tierra en Jamaica a primeras horas de la tarde del martes 28 de octubre de 2025. Este fenómeno se convierte en una de las tormentas más intensas en la historia reciente del Caribe. Según la Organización Meteorológica Mundial, su impacto podría superar al huracán Gilbert de 1988.
El ojo de la tormenta cubre el oeste de Jamaica, y aunque ha comenzado a perder fuerza al interactuar con el terreno. Sus efectos siguen siendo devastadores. Los vientos, que superaron los 295 km/h, han arrasado viviendas, hospitales y carreteras.

Inundaciones y caos en todo el país
De su lado, el ministro de Medio Ambiente y Cambio Climático, Matthew Samuda, informó que el 70% de los jamaicanos vive a menos de cinco kilómetros del mar. Esta condición ha agravado la emergencia. A pesar de los 880 refugios habilitados, muchos permanecían vacíos al inicio del desastre.
También, se reportan daños significativos en infraestructuras públicas y cortes eléctricos masivos. Por esta razón, más de la mitad del país permanece sin conexión a internet: en Hanover solo el 2% de la población mantenía acceso durante la mañana, según NetBlocks.
Riesgo regional y alertas en el Caribe
Además, mientras Melissa avanza lentamente hacia el norte, República Dominicana mantiene varias provincias en alerta roja, amarilla y verde por lluvias intensas y posibles deslizamientos.
El Centro Nacional de Huracanes (Miami) informó que el sistema sigue activo y que su amplia nubosidad afectará a las Antillas Mayores en los próximos días.
Finalmente, los expertos atribuyen la potencia de Melissa al calentamiento del océano, un efecto directo del cambio climático que multiplica la intensidad de los huracanes tropicales.
Fuente: INFOBAE
#AlcarrizosNews #HuracanMelissa #Jamaica #CambioClimatico #Caribe #Emergencia



